In our last post on Gasometers we saw a 1922 list of towns that had manufactured gas service. Of the eight service providers only one provided service to customers outside of the town in which the coal gas was manufactured. The Gulf Cities Gas Co. in Biloxi supplied six coastal communities (Biloxi, Gulfport, Handsboro, Long Beach, Mississippi City, & Pass Christian) with manufactured gas. Gulf Cities gas plant was located at the T-section of Oak and 5th streets down on Point Cadet, which reader Victoria Moon Conway noted last week is still the site of a Mississippi Power facility. With the exception of some small-scale tank facilities in each of the six towns previously mentioned, all the manufactured gas was stored in one of two Gasometers on Oak Street. Established prior to 1910, Gulf Cities Gas Co. decided to improve their service to the entirety of the Harrison County coastline in 1917 and needed a big new gasometer to keep up with the expanded demand.
The Golf[sic] Cities Gas Co. of Biloxi, Miss., has completed its gas holder, which was begun several months ago under the supervision of the Stacey Brothers Gas Construction Co. of Cincinnati. The gas holder has a capacity of 200,000 cubic feet and cost $75,000. The holder is the largest piece of structural steel work on the Gulf coast. The Gulf Cities Gas Co. completed its new four-inch pipe line between Biloxi and Gulfport April 15, according to announcement of C. B. Cortelyou, Jr. the general manager. Seventy-five men were employed on this work and it cost $75,000.
– Biloxi Plant Completes Its Improvements., The Gas Record April 25, 1917 pg. 337
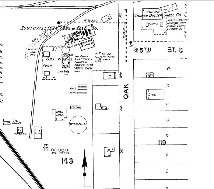
At 200,000 cubic feet this gasometer would have been the largest gas holder we’ve seen documented in any of the Sanborn maps last week. Stacey Brothers was a well regarded name in gas plant construction who would build tanks and works facilities all across the country. In 1923 Gulf Cities Gas Co. was succeeded by Southwest Gas & Electric Company. I have not run across any images of the Oak street plant or gasometer, but I did round-up three Sanborn maps of the gas works. I haven’t found a correlation between use of the term “gas holder” and “gasometer.” The Sanborn Company appears to use the terms interchangeably, so without further knowledge of the gas plant facilities, determining how Sanborn judged a difference is difficult.
The 1925 Sanborn map shows the gas works in full swing complete with two gasometers and a rail spur for delivery of coal. The larger gasometer is likely the 200,000 cu ft. mentioned in the above article. The smaller gasometer adjacent to the retort house likely holds 27,000 cu ft. This approximation of the smaller gasometers size is based on the 1922 Browns Directory of American Gas Companies that states Southwestern Gas & Electric Company’s total gas holder capacity was 227,000 cu ft.
By 1948 the gas works are removed but the gasometer appears to still be in use.
The last Sanborn map of 1952 shows the forlorn gasometer along with the description “Not Used.” The former gas plant site is now labeled as a contractors yard. I don’t know what year the Biloxi gasometer met its demise but I can’t image it could have survived too many hurricanes.
To get caught up on the Mississippi manufactured gas coverage check out these previous MissPres posts.
Mississippians with Gas Oct. 01, 2014
Last of the Mississippi Gasometers Sept. 23, 2014
Categories: Architectural Research, Biloxi, Cool Old Places, Demolition/Abandonment, Gulf Coast, Gulfport, Historic Preservation, Long Beach, Lost Mississippi, Pass Christian, Water Tower/Water Tank



Leave a comment