If you haven’t read last week’s post on Gasometers, this post follows up on that discussion of the hulking, black, iron lungs that eased up and down at all hours of the day and night, depending on gas demand (for lighting, heating & cooking) and the manufacturer’s supply. We pondered what towns had gas works and the mysterious gasometers that were required to store the manufactured gas.

Jackson Gas Light Co. Jackson, Hinds Co. c.1909 detail from larger panorama photograph w/ notes by author
The 1922 Brown’s Directory of American Gas Companies and Gas Engineering and Appliance Catalog gives more insight to the companies that were producing manufactured gas and where they were distributing it in Mississippi. This listing supplied by Brown’s is more descriptive than the 1886 American Electrical Directory list from last week. Below in the first column is a list of towns supplied with gas. The second column is the name of the company that manufactured the gas, which wasn’t always located in the same place.
Biloxi………………….Gulf Cities Gas Co., Biloxi
Columbus……………Columbus Railway Light & Power Co., Columbus
Greenville……………Greenville Gas Co., Greenville
Gulfport………………Gulf Cities Gas Co., Biloxi
Handsboro………….Gulf Cities Gas Co., Biloxi
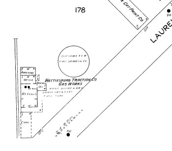
Hattiesburg…………Hattiesburg Traction Co., Hattiesburg
Jackson……………….Jackson Public Service Co., Jackson
Long Beach………….Gulf Cities Gas Co., Biloxi
Meridian……………..Meridian Light & Railway Co., Meridian
Mississippi City……Gulf Cities Gas Co., Biloxi
Natchez………………Southern Railway & Light Co., Natchez
Pass Christian……..Gulf Cities Gas Co., Biloxi
Vicksburg……………Vicksburg Gas Co., Vicksburg
In each of these towns I was able to find a gasometer on a Sanborn map dating nearest to 1922.
Gulf Cities Gas Co. was succeeded by Southwest Gas & Electric Company in 1923. Feb. 1925 is the earliest Sanborn map to cover the location of the Biloxi gas works & gasometer on Oak Street.
Do any of these maps spur memories in your neck of the woods? According to Brown’s there were less than 500 gasometers operating in the United States in 1922. Today they are an ever rarer breed of structure, but they were very influential in shaping our lives as we know them today.
Categories: Architectural Research, Biloxi, Columbus, Greenville, Gulfport, Hattiesburg, Historic Preservation, Long Beach, Lost Mississippi, Meridian, Natchez, Vicksburg, Water Tower/Water Tank








The map of Southwestern Gas & Elec Co., Biloxi is actually where Mississippi Power’s Service Station in East Biloxi is located now. I was telling my co-worker who’s husband has been a lead lineman for Mississippi Power for many years and worked at the Oak Street station about your post. She said after Katrina they had to do some major digging to remove all of the infrastructure from the old gas and power comapny in order to build the current building. Sounds interesting! I wonder if they found any treasures.
LikeLike
It is bizarre with having been such a heavy industrial use that only 4 of the 8 sites across the state are still used for industrial purposes, three of which are owned by utilities still. I would be curious to know what your co-workers husband has to say about what they found during excavation. Maybe DEQ photographed or other wised recorded what was found as part of the remediation of the gas plant? Please let us know if you hear anything!
LikeLike
The entry in the 1886 directory for the Waverly Gas Light Co., located at Waverly, Mississippi must refer to the gas production plant that was once behind Waverly mansion in eastern Clay County. One can still see the brick cylinder in the ground that was once surmounted by a metallic cover, as I have been told by someone who remembered it. This plant could have hardly ever supplied gas for anything other than the Young house (Waverly mansion) and perhaps a couple other homes in the neighborhood considering that there were few homes in the vicinity and these were rather dispersed. I am puzzled by the “company’s” being listed as a seemingly urban facility when there was no town there. However, there was to my knowledge only one place name in Mississippi officially recognized by the US Post Office with a post office named Waverly; Waverly PO was founded in 1840 and discontinued in the first decade of the twentieth century and therefore in operation when the directory was published.
LikeLike
I would sure love to see that small plant in person. Urban gas works are rare, but the rural units are as scarce as hens teeth. Do you know if any images exist online?
I found a second Gas Company directory also from 1886 ( http://books.google.com/books?id=C5k_AAAAYAAJ&dq=%22jackson%20gas%20light%22&pg=PA112#v=onepage&q&f=false ).
That to add to the mystery has an entry for “Waverly” but leaves all the queries blank.
This second directory additionally sheds some light as to why I could not find a gasometer in Holly Springs. Their lights were fueled by Naphtha Gas which is a liquid and could be stored in tanks rather than an expensive gasometer.
Where was Waverly PO in relation to a still extant post office?
LikeLike
Waverly is on the west bank of the Tombigbee River in southeastern Clay County about half way between West Point and Columbus. The post office itself was located in various buildings depending upon who the postmaster was. During the late 1800s it was probably located in the store of Henry Long near the ferry landing when Long was postmaster. It was last located inside Waverly mansion when George Valerius “Val” Young was postmaster.
Regarding photos–I know of no photographs that are online. There is one that I took in 1976-77 in a published report: Elliott, “A Cultural Resources Survey of Selected Construction Areas in the Tennessee-Tombigbee Waterway: Alabama and Mississippi,” Volume II. Report submitted to the U.S. Army Corps of Engineers, Mobile District, by the Department of Anthropology, MSU, 1978.
However, that photo is not very good, largely because the remains are not conducive to producing good photos. The brick cylinder which I’d estimate to be ca 10-12 feet in diameter ends at about ground level so only its interior is visible and the interior is further concealed by water, so when I took the photograph so many years ago only the upper two or three feet of wall were exposed.
LikeLike
Your description is the next best thing to photographs. It sounds like a plant that dated to the original period of the houses construction and not a later addition. Do you know if the brick cylinder is still visible?
LikeLike
As far as I know, it still is. The only way that it could disappear would be to fill it in with dirt, and I doubt that that has happened.
LikeLike
That’s good news. Sounds like I’ll have to make a trip up to Waverley to check it out. Hopefully brick scavengers haven’t gotten to it either.
LikeLike
I feel certain that the brick have not been scavenged. The remains are on the property of the Snow family who own and reside in the mansion. They would never allow this to happen. Btw, it is located just north of the edge of the yard where the terrain drops and the woods begin.
LikeLike
Everyone should make a trip to Waverley once in life, even if there weren’t a gasometer there.
LikeLike
Agreed!
LikeLike
A background history of Waverly:
http://lowndes.msghn.org/waverly2.shtml
LikeLike
Thank you for the link. I was curious if Waverly the place had any relation to Waverley the house.
LikeLike
Saw this comment on Facebook when I shared the article with the Vicksburg, MS facebook group.
Jason Dortch 1:26am Oct 2
Gasometers are still used in the UK. They’re on the outskirts of nearly every town and they’re ugly
LikeLike
Ha! Beauty is in the eye of the beholder. Thanks for sharing the comment. I would say gasometers are a more common site in England that the US today, but they are no longer in use for storing gas. Pressurized gas lines eliminated the need for the large storage facilities.
LikeLike