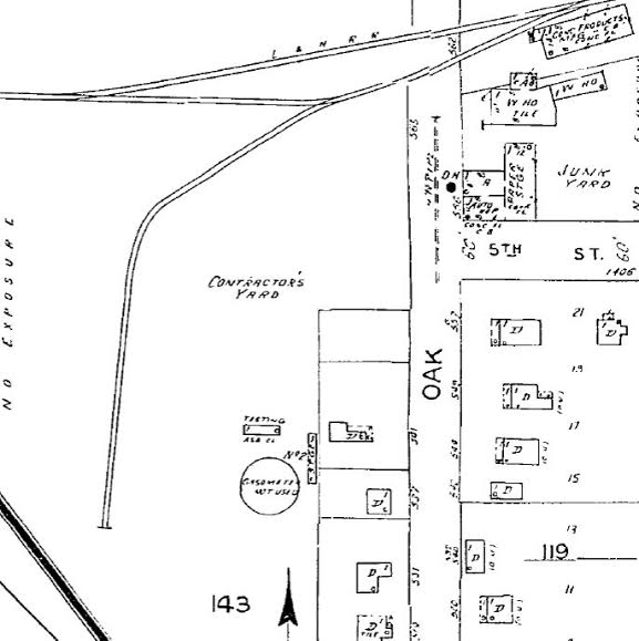
‘Biloxi 1952 Gasometer’ Published October 6, 2014 at 577 × 579 in Biloxi Gave The Whole Coast Gas Biloxi, 1952 Gasometer is no longer in use. ‹ Back
Leave a comment