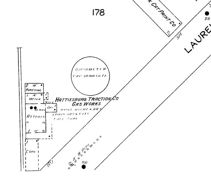
‘Hattiesburg May 1925’ Published September 30, 2014 at 699 × 619 in Mississippians with Gas Hattiesburg Traction Coumpany Gas Works. May 1925 ‹ Back
Leave a comment