Ok, if you hate Modernism, or if you love Craftsman bungalows, or if your name is W. White, you might just want to stop reading right now. Today’s post, a reprint of the feature article in the July 1963 issue of Mississippi Architect, makes us all remember why the preservation movement got started in the first place.
The project presented would be called a “remuddling” today–taking a perfectly innocent bungalow and turning into an architect’s office, minus its full front porch or any of its original character.
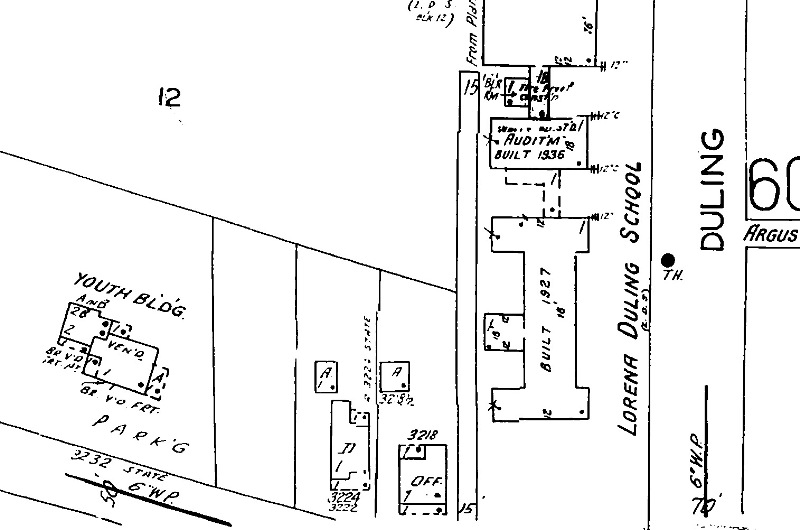
I am pretty sure this building still stood until only a few years ago when it was demolished to make way for the Fondren Place building next to the historic Duling School in Jackson’s Fondren neighborhood (3218 N. State on the Sanborn map at right). It was a sad building as long as I knew it–each owner making his or her own attempts at making it presentable. I admit I didn’t shed a tear when it came down. I might have put up a fight for it to at least be moved if it had still been the sweet little bungalow that is shown below. Oh well, read on, and try to be understanding of the context of the 1960s.
—————————-
ARCHITECT’S OFFICE
JOSEPH RUSSELL PERKINS, A.I.A.
Architect
North State Street
Jackson, Mississippi
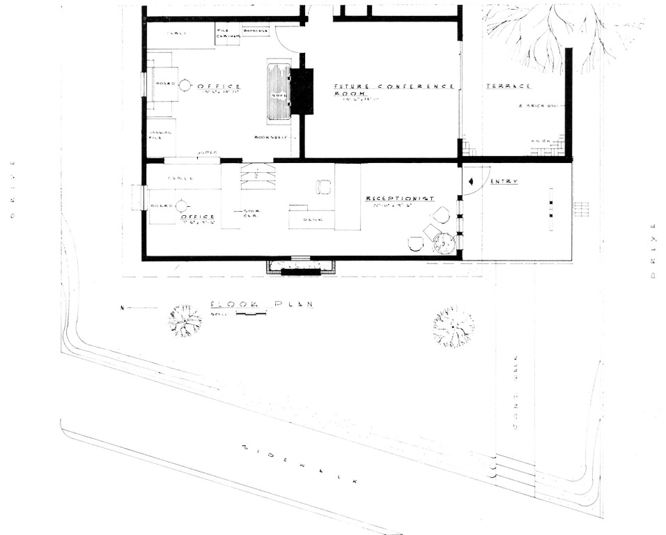
OCCASIONALLY an architect’s client is himself. In the instance illustrated here the architect undertook the job of remodeling a residence to provide space for his office.
Two main objectives in the design were the elimination of steep steps leading to the entrance and the control of sunlight from a western exposure.
The old porch floor and foundation walls were removed and a concrete floor poured on grade thirty inches below the existing floor level. The entrance was moved to the side of the building to provide more graceful access. The sun problem was controlled by use of a screen wall made from brick salvaged from the existing foundation. In addition to providing west window shading, the screen wall serves also as a major design element.
Brick from the foundation also provided a screen wall enclosing a small court off the future conference room. This wall helps screen the existing house from view. With the addition of a small canopy at the entrance the existing roof was kept intact. Decorative panels were suspended to disguise the existing porch ceiling.
Cost of the project was approximately $3,000.00 with much of the actual work being
done by the architect.

———————————-
This article is reprinted from the July 1963 issue of the Mississippi Architect, with permission from the Mississippi Chapter of the American Institute of Architects. View the full July 1963 issue of Mississippi Architect in a digitized format, or for other articles in this ongoing series, including the pdf version of each full issue, click on the MSArcht tab at the top of this page.
Categories: Architectural Research, Jackson




Definitely a remuddling! The room with the drafting table and the unaltered window seems especially odd.
LikeLike
Couldn’t help but think about the bungalow that P.M. Heffernan transformed into a Modernist residence for himself on the Georgia Tech campus, now home to his papers and other archives for the College of Architecture. It’s now considered one of the historic sites on campus. I’ll post some pictures later.
LikeLike
I’m not opposed to remodeling buildings, just to remodelings that take away character without replacing it with something better or more convincing. For instance, some of our Greek Revival landmarks, like Monmouth in Natchez, are remodelings of earlier Federal-style houses. Would I want that Greek Revival to be torn off to “return” the building to some supposed “original” state? A thousand times no! But in the case of a building like this, it was neither fish nor fowl when it was finished, and then of course by the time I came to know it, it was missing that awning, the brick terrace, and the brick screen on the front, which would have at least given it more interest.
I’ll look forward to seeing your pictures!
LikeLike
Well, you know I love Modernism generally, but I have to say that I just hate this. Not that it was a particularly spectacular bungalow before, but uck! I hate it when anyone repurposes a house into any kind of office; that’s housing lost (I suppose one must make exceptions for houses that would be lost anyway due to zoning idiocies), but this is especially bad.
Hey E.L., I thought this article gave the name of the architect responsible; did you leave it out on purpose?
LikeLike
Oh whoops! you’re right, I’ll correct that now.
Also, I’m happy to hear you hate it too–I figured if anyone could find something to love in this remodel it might be you :-)
LikeLike
Oh the humanity!!! :-)
Since the photos are by Frank Noone, was he the architect or just some photographer?
LikeLike
No, he was the photographer. As Carunzel pointed out, I accidentally left out the architect’s name, perhaps subconsciously hoping to protect him. It was Joseph Perkins, and I’ve added that information back in at the top, where it belongs.
LikeLike
Time marches on! And it is bringing more styrofoam and painted-on brick with it in the 21st century as we see here. I think the architect’s office surely couldn’t be considered high design, but what about that building that replaced it!
BTW – the Heffernan House is a much better example of this kind of remodeling, unfortunately I couldn’t find the pictures I thought I took on a recent tour, so here is a link to a glimpse of the interior taken a couple of years ago:
http://docomomo.ning.com/photo/2054953:Photo:381
LikeLike
I had totally forgotten this cool, little building. It’s from a time when post-war development in Jackson was exploding and the city had a good share of newly-minted (ex-GI) young architects embarking on careers and beginning to make their marks. I miss this building because of the time it evokes. It’s existence as a re-imaged structure was every bit as worthy of study as was the bungalow beneath…within…it.
It told two stories.
And now it’s gone, and an entirely different narrative has taken it’s place.
LikeLike
Thanks for sharing that perspective, jeph–I certainly hadn’t looked at it that way, but you’re right, that was a unique and exciting period in Mississippi architecture. I don’t think I love the building any more–and certainly not as it was when it was finally demolished–but you’ve given me a new perspective to consider.
LikeLike
Joseph Perkins is my grandfather and I’ve never seen this building of his before, so it’s almost kind of baffling, for me, to find this on the internet. I must say that I am biased in regards to his work–I really do love what he creates. I always have since I was a young child. His most obvious influence is F.L. Wright, and especially in the house that he still resides in, he carries out the modernist vision in his own nuanced way. Say what you want, but he does create some aesthetically intriguing buildings that can’t help but catch the eye, whether it’s your taste or not.
LikeLike
M.E. ….. Would like to know more about your grandfather. Give me a call at 256-383-9007 Milstead architect
LikeLike
Joe Perkins administered my A.R.E. back in 1988, if memory serves me right. His registration number was 7 I think. I believe he said he was first licensed in Arizona. Joe was a good guy, miss having him here. Regarding this office, I remember it well, I believe Jones and Haas had their office here at one time as well. I believe we bought some of the equipment when I worked for Sambo Mockbee from Mr. Haas when he closed his doors in the mid-1980s
LikeLike