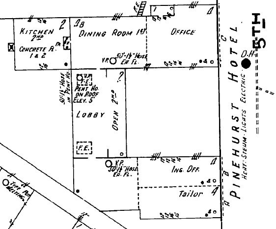
‘Pinehurst Hotel, Laurel, Jones County. Sanborn Map 1915’ Published August 19, 2014 at 562 × 466 in Architectural Siblings? Hotels Tupelo and Pinehurst Pinehurst Hotel. Laurel, Jones County. Sanborn Map. June, 1915 ‹ Back
Leave a comment