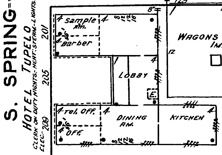
‘Hotel Tupelo, Tupelo Lee County Sanborn Map July, 1919’ Published August 19, 2014 at 921 × 642 in Architectural Siblings? Hotels Tupelo and Pinehurst Hotel Tupelo. Tupelo, Lee County. Sanborn Map. July, 1919 ‹ Back
Leave a comment