Today’s post is Chapter 2 in our series re-printing Frank Brooks’ “Travelling by Trolley in Mississippi: Stories about Streetcars.” View other posts in the series at the “Streetcars” tab.
————————————————————
Judging from the information I was able to gather, Greenville’s Delta Light and Traction Company was an ideal and efficient small city transportation company. Greenville’s trolley operations were similar to those of several other Mississippi cities in that they were eventually taken over and operated by the Mississippi Power and Light Company.
Initially, the lively Mississippi River city of Greenville possessed two transit companies–the Delta Electric, Power and Manufacturing Company which was chartered on May 20, 1901; and the Greenville Electric Light and Street Railway Company. The D.E.L.P. & M. Co. was the more extensive system and purchased the G.E.L. & S. Ry. Co.’s lighting plant and streetcar system in 1905. The Greenville Electric Co. operated a line between the old Columbus and Greenville Railway and the Yazoo and Mississippi Valley Railway passenger stations.
Shortly after these two companies merged to form the Delta Light and Traction Company, the new company boasted of “five miles of street railway, fully equipped with light vestibuled streetcars, and with duplicate engines and generators to furnish power for same, together with a 1,400 horse power direct connected generator of the most modern make . . . .” According to a publicity advertisement which I discovered, that meant a capacity for 17,000 lights plus 125 series arc lights for street lighting.
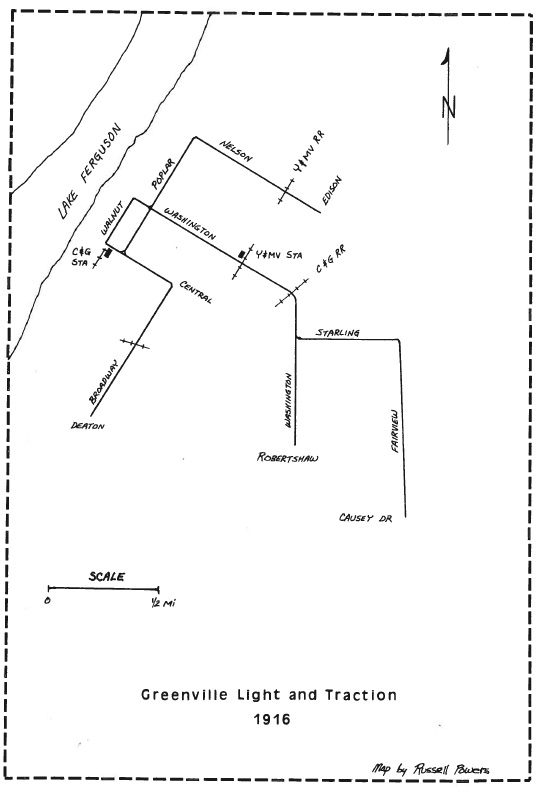
During the peak are of its operation, the Delta Light and Traction Company possessed 8 miles of track over which is operated 14 cars. Before electrification of the lines, there existed a primitive system of mule-drawn cars. Today there is no public transportation in the Delta’s largest city.
There are still considerable numbers of people in Greenville who remember details and facts about the trolleys and their personnel. For instance, Mr. A.M. Pender’s long tenure is easily recalled by several long-term residents. He took over as motorman on the Washington-Park line in 1912 and continued to operate the cars until the very last day of operation. Subsequently, he was chosen to drive Greenville’s first city bus on the day of their inaugural runs! During his long years of operating the trolleys, Mr. Pender experienced only one accident–a rear end collision when a dense fog caused the motorman of a trailing car to crash into his car! Additional old-time names associated with Greenville’s trolley operation include C.G. Seay, an early conductor; the Adams brothers (one of whom was called “Skeet”); and a Mr. Vaught.
The famous Mississippi River flood of 1927 dealt Greenville’s streetcars some serious blows. Lines in some places were covered with muddy water, and in other places the cars were actually abandoned where they were trapped in the rising water. Persons observing the deadly rise of waters wondered if the cars would ever return to service again.
The Mississippi Power and Light Company did put the line back in service, but the delightful little street railway system couldn’t generate enough traffic to meet expenses. The final day came on May 20, 1929. Busses began handling the local transit business the very next day.
—————————
ABOUT THE AUTHOR: Frank A. Brooks, Jr. has loved trains and streetcars for as long as he can remember. He and his wife Jo Anne are parents of 2 children and grandparents of 4. During his active ministry of 43 years in the Presbyterian Church he served in Kentucky, Mississippi, Virginia and Arkansas. In retirement, Dr. and Mrs. Brooks live in her hometown Corinth, MS.
Categories: Greenville


This is so interesting to read about. Thank you so much for bringing us these great stories. I can’t think of a Mississippi city with enough tourist/commuter activity that could support a streetcar line today. Thank goodness NOLA & San Francisco still have theirs so we can experience it. So much fun!
LikeLike
When I was in high school in the 1960s I was taken to the final resting place of these cars. They were in ruins and much broken glass. I walked down the aisle of one old relic. This place was in the woods on the wet side of the levee. At the time I did not know their history.
LikeLike
You can go to the Greenville Historic preservation web site, http://www.jgwchpc.com and click on markers, then scroll down to the “Greenville Trolley System” and see what is left of the original trolley tracks in Greenville.
LikeLike
The 1902 Census Bureau report stated the following for the Greenville Light and Car Company:
0.8 miles, 148,000 passengers.
Other statistics:
1907: 4.9 miles, 554,000 passengers.
1912: 5.5 miles, roughly 600,000 passengers.
1917: 5.5 miles, roughly 500,000 passengers (carried in 14 passenger cars).
1922: 5.5 miles, roughly 400,000 passengers.
1927: 5.5 miles, roughly 300,000 passengers.
LikeLike
I neglected to make clear: the 1902 Census Bureau report does not mention the Delta Electric, Power and Manufacturing Company.
LikeLike